國際要聞

跟習近平談台灣議題?川普:沒什麼好談的 

2025-10-29

[NOWnews今日新聞] 美國總統川普(Donald Trump)預定將於明(30)日與中國國家主席習近平會面,外界關注兩人會否談及台灣議題。對此,川普今(29)日搭乘空軍一號前往韓國時,他在...

川普真實社群將開放下注功能 前進預測市場 

2025-10-29

[NOWnews今日新聞] 美國總統川普創辦的川普媒體集團旗下社群媒體「真實社群」(Truth Social)28日宣布,將開放平台的下注預測功能,與加密貨幣平台合作,允許用戶對現實世界的事件結...

幕僚緊張台灣議題 勸川普勿曖昧站隊北京 

2025-10-29

[NOWnews今日新聞] 美國總統川普預計將在本週與中國國家主席習近平會面,外界關注習近平可能要求華府明確表態「反對台灣獨立」。多名知情人士透露,白宮內部氣氛緊繃,有幕僚建議川普不要為了中國而...

美軍連3空襲炸沉運毒船!擊斃14人畫面曝光 

2025-10-29

[NOWnews今日新聞] 美軍持續升級對委內瑞拉周邊海域的運毒船隻打擊行動,美國國防部長赫格賽斯28日宣布,美軍27日在東太平洋進行三次空襲,摧毀四艘疑似運毒船,造成14人死亡。據路透社報導,...

川普會高市早苗 矢板明夫:對台灣意義重大 

2025-10-29

[NOWnews今日新聞] 美國總統川普訪問日本,並在28日時與日本首相高市早苗面對面會談,並且簽署了兩份協議,強化美日同盟關係。對此,日本資深媒體人、印太戰略智庫執行長矢板明夫表示,川普訪問日...

川習會釋善意?傳美調降對中關稅10%條件曝 

2025-10-29

[NOWnews今日新聞] 美國總統川普(Donald Trump)30日將與中國國家主席習近平會面,《華爾街日報》披露,雙方可能達成共識,美方下調10%的關稅,換取中國加強管制芬太尼出口,若此...

明會習近平!川普今日先見黃仁勳料談AI晶片 

2025-10-29

[NOWnews今日新聞] 美國總統川普近日在亞洲訪問,28日在日本與商業領袖會面時,宣布將於今(29日)在韓國與輝達執行長黃仁勳會晤,川普30日也將與中國國家主席習近平會面,預計AI晶片將是討...

美股收盤齊揚創新高!輝達漲近5%帶動科技股 

2025-10-29

[NOWnews今日新聞] 美股周二(28日)連續第二天收盤創新高,AI熱潮助攻輝達(Nvidia)上漲近5%,帶動科技股走高,市場預估聯準會(FED)29日宣布降息,四大指數收盤齊揚,標普50...

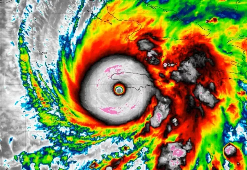
5級颶風美莉莎將登陸牙買加!風力超震撼 

2025-10-28

[NOWnews今日新聞] 今年最強的五級颶風美莉莎(Hurricane Melissa),正挾著每小時185英哩(約每小時295公里)的超強陣風直撲牙買加。衛星雲圖以及紅外線色調強化雲圖顯示了...

美股開盤再創新高!微軟、蘋果市值破4兆 

2025-10-28

[NOWnews今日新聞] 美股主要指數周二(28日)開盤持續創新高,道瓊工業指數突破47800點,微軟(Microsoft)宣布與ChatGPT開發商OpenAI達成新合作協議,刺激股價上漲,...